SPM Advanced MAGs Tab

<< Click to Display Table of Contents >>

Navigation:  SPM > SPM > Tasks > Samples >

SPM Advanced MAGs Tab

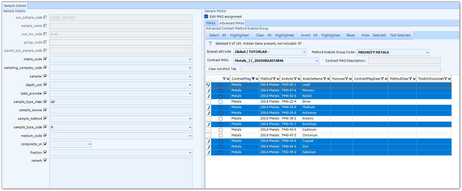
When adding samples to tasks, the Advanced MAGs tab on the Define Samples tab allows selection of a sub-list of Method Analyte Group (MAG) members (versus all members) to be assigned or added to a sample. This option is enabled when the CAN_SUB_SELECT_YN field in the DT_SPM_CONTRACT_MAG table is set to “y” or "yes" and at least one MAG member is assigned an Analytic Method. The selection of the sub-list is performed using the Advanced MAGs tab. The sub-selection can be either by specific CAS_RNs or by analytic method.

 

spm-planned_task-sample-advanced_mag_zoom60

 

The selection grid initially displays all the MAG members that have an Analytic Method assigned. The content of the grid is filtered initially by the Scope/Lab Code (SPM Contract), followed by Method Analyte Group Code, then by the specific Contract MAG.

 

Note: When DT_SPM_CONTRACT_MAG.CAN_SUB_SELECT_YN is set to “n” or "no", MAG MAG members will be displayed on the grid without the selection column or check boxes.

 

Check or uncheck the grid rows for the desired sub-list of MAG members. The Contract MAG Description can be updated to reflect the selected sub-list MAG members. In the image above, the Contract MAG Description was modified to specify which high priority metals were included in the new MAG.

 

When the Create button is clicked to add the MAG with sub-selected CAS_RNs to the sample, a new MAG will be created. The new sub-selected MAG will then be available in the MAGs tab and can be assigned/added to the next sample. The new contract MAG name will simply be “<orig contract MAG name>_||_<datetime of creation>”; thus it is helpful to add more information in the Contract MAG Description box.

 

spm-contracts-mag_advancedmags_zoom65

 

 

Note: Multiple MAGs can be added to the sample from either the MAGs and Advanced MAG tabs using the create button. When the MAG selection is complete, the Finish button is used to complete the sample creation.

 

When editing samples in a task, the Advanced MAGs tab on the Sample Details tab loads a selection grid displaying all the MAG members of the original contract MAG with Advanced MAG members selected. Modifying the list of Advanced MAG members and clicking Apply will create a new contract MAG.

 

spm-contracts_mag_editing_advanced_mags_zoom50